Orlando Rodríguez
Hace unos cuatro años publiqué una serie de blogs orientados al canto del Gorrión Sudamericano, Zonotrichia capensis Müller, 1776, incluyendo un hallazgo de composición de canto para la especie.
Desafortunadamente, en un cambio de hosting se perdieron buena parte de los registros digitales, así que las publicaciones perdieron valor.
Empiezo, pues, de nuevo, con paciencia y resignación, a reescribir el tema.

Fotografía 1. Zonotrichia capensis. Copetón. (Fotografía Eduardo Calderón)
Esta primera entrega incluye tres partes:
- Generalidades de la especie
- Descripción general del canto
- Registro de Canto tipo I :D-D(6)
1. GENERALIDADES
Zonotrichia capensis, Müller, 1776, es un pequeño gorrión sudamericano que ha aprendido a convivir con el hombre en las ciudades y campo. Es extremadamente social, su canto empieza muy temprano en la mañana y se prolonga mas allá de las 6:00 PM.
Su distribución es muy amplia, abarcando prácticamente todo Sudamérica y Centroamérica, hasta CostaRica.

Fig 1. Zonotrichia capencis. Distribución geográfica. Fuente: Wikipedia
La especie recibe diferentes nombres dependiendo de la región que habita:
Colombia: Copetón. Argentina: Chingoló o Cachilo. Chile: Chincol. Brasil: Tico-Tico. Perú: Pichuchanca, Pinche, Planchín. CostaRica: Pirris
Clasificación taxonómica:
Clase: Aves
Orden: Passeriformes
Familia: Emberezidae
Género: Zonotrichia
Especie: Zonotrichia capensis, Müller, 1776
2. DESCRIPCION GENERAL DEL CANTO
El canto de la especie es extremadamente variable, presentando estructuras sonoras características para cada población .
El canto se puede dividir en un tema seguido de una serie de trinos.
El tema corresponde a un arreglo secuencial de uno a cuatro silbidos, homogéneos o heterogéneos, ejecutados unos en tono ascendente, otros descendentes, algunos sostenidos altos otros sostenidos bajos, ligados o separados, de manera que las combinaciones posibles son enormes.
Una vez ejecutado el tema, el canto se continúa con un trino compuesto de una serie de rápidos silbidos descendentes, los cuales varían en cantidad, generalmente tres a seis.
Un individuo puede ejecutar mas de un tema, y de hecho puede exhibir lo que he denominado “COMPOSICIONES DE CANTO“, o secuencias circulares repetitivas de tres o cuatro variantes de canto, cada una ejecutada tres o mas veces.

Fig 2. Composición de canto (Cuatro tipos de canto) registrada en un blog anterior
Para los análisis de canto de este blog y blogs subsiguientes utilizaré “Raven Pro” , una potente aplicación desarrollada por Cornell University orientada principalmente al análisis de cantos de aves.

Fig 3.Ejemplo de “Forma de Onda” y “Espectrograma” desplegados en Raven pro para cada grabación de audio
NOMENCLATURA: Para los blogs a desarrollar utilizaré la siguiente nomenclatura, que pretende definir cada variante de canto:
TEMA: >> D : Descendente A: Ascendente SH: Sostenido alto SL: Sostenido bajo
TRINO: >> (#) = ( Número de trinos)
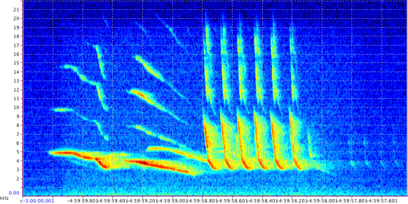
3. REGISTRO CANTO TIPO I : D-D(6)
Descendente – Descendente (6)


Fig 4. .Espectrograma y forma de onda Canto tipo D-D(6)

Fig 5. .Ficha técnica. Sonograma tipo D-D(6)

Saludo. Excelente estudio. Comúnmente me vistan copetones, pero desde hace varios días no hacen su trino característico. ¿Cuál podría ser la razón? ¿Sabe usted si copetón canta solo en ciertas épocas del año? Gracias.
LikeLike
Hola, Juan
Si, hay meses en que sus cantos prácticamente están ausentes. Probablemente se intensifican en épocas de apareamiento. Mucho por investigar aún.
Gracias por su comentario
LikeLike
Hola, cómo saber qué significa un “sonido” que emiten – no es canto – en cortos – como llamando a sus crias? pidiendo ayuda? anunciando lluvia? los escucho todo el día y tengo la sensación que están angustiados!
LikeLike
Hola, Liliana
El copetón tiene un canto de cortos “chirp” cuando está en peligro o siente que sus crías están en peligro, en este caso nunca compuesto de tema y trinos como tradicionalmente utiliza
LikeLike